Influencers rode out Hurricane Milton for the content. Why are we watching?

UC Blue Ash professor featured in CNN article

As many Floridians evacuated ahead of Hurricane Milton last week, some social media creators stuck out the storm in unsafe evacuation zones, seemingly for the sake of creating content.

The University of Cincinnati Blue Ash College's Krysten Stein, PhD, told CNN there are complicated motivations behind influencers creating content while putting themselves in harm's way.

“A positive of this is you’re getting real-time, on-the-ground footage of what’s happening,” Stein, assistant professor of communication at UC Blue Ash, said. “On the other hand, it raises questions about the motivations behind posting such traumatic events. Are creators aiming to educate people about what’s going on, or is this being used as a way to monetize their content?”

Stein said while it can feel "icky" to see creators potentially benefiting from a catastrophe where others have died or had their homes destroyed, it is important to acknowledge the system that enables this to occur.

"We also need to recognize that influencers operate within a system where they rely on platforms to earn money," Stein said. "It is essential to acknowledge the larger system that pressures creators to make difficult decisions about how they engage with such tragic events.”

Read the CNN article.

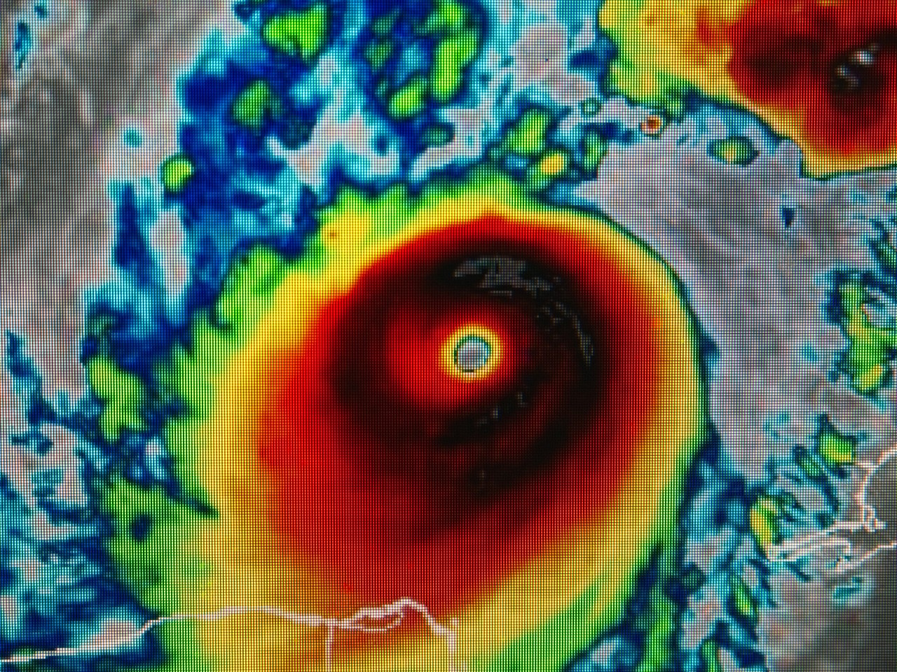
Featured photo at top of radar imagery of Hurricane Milton. Photo/Peter Blottman Photography/iStock, with original radar data provided by NOAA / NESDIS Center for Satellite Applications and Research.

Related Stories

1

Make Hoxworth Blood Center’s special holiday events part of your family celebrations this December

December 12, 2025

This December, Hoxworth Blood Center, University of Cincinnati, is inviting families across Greater Cincinnati to add something truly meaningful to their holiday traditions: giving the gift of life. With festive community events, beloved local partners and special thank-you gifts for donors, Hoxworth is making it easier, and more heartwarming than ever, to roll up your sleeves and help save lives close to home.

2

University of Cincinnati college is piloting a program to serve alumni of foster and kinship care

December 12, 2025

In 2025 the Ohio Reach Postsecondary designation was awarded to UC's College of Education, Criminal Justice, Human Services, and Information Technology (CECH) as part of the program's third cohort. The program recognizes and supports higher education institutions that have worked to make their campuses welcoming and accessible for students with a history in foster or kinship care. CECH will run a pilot program called Anchor Point aimed at wide-scale implementation across the campus in Fall 2026.

3

Ohio nurses weigh in on proposed federal loan rule

December 12, 2025

Spectrum News journalist Javari Burnett spoke with UC Dean Alicia Ribar and UC nursing students Megan Romero and Nevaeh Haskins about proposed new federal student loan rules. Romero and Haskins, both seniors, were filmed in the College of Nursing’s Simulation Lab.